New space-time. Section 3 of Wandering Rocks
begins, "A onelegged sailor crutched himself round
MacConnell's corner, skirting Rabaiotti's icecream
car, and jerked himself up Eccles street." At the
beginning of section 1 this man was seen in a different place,
so readers are invited to ask how he got from one point to the
other, and how much time may have passed––questions which can
be answered by consulting maps and obscure textual details.
The scene is echoed by an interpolation in section 9 that
supplies another such detail: the novel's first precise
identification of the Blooms' address. In section 16 the
sailor pops up in a second interpolation, now having moved
some distance further west, and section 3 contains an
interpolated sentence directing attention southward to a scene
presented in section 8.
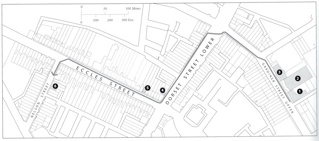
"MacConnell's corner" refers to the northwest corner
of the intersection of Dorset and Eccles streets. Thom's
1904 directory listed a pharmacy owned by Andrew MacConnell at
112 Lower Dorset Street, the last
address of that block on the west side of Dorset before the
intersection with Eccles––though, as Clive Hart notes and Ian
Gunn shows on the first map here, the pharmacy was not in fact
on the corner, that spot being occupied by 1 Eccles Street.
Across Eccles Street, on the southwest corner, "Larry
O'Rourke, in shirtsleeves in his doorway," watches as
the sailor, growling out his song, moves west along the
street. He swings "violently forward past Katey and Boody
Dedalus," stops, and bawls out more of the song. A "stout
lady" gives him a coin and he thanks her before lurching
onward and baying his song "towards a window," through which
another singing voice, this one a "gay sweet chirping
whistling," can be heard.
The singing in the house stops and someone opens the window,
after which "A card Unfurnished Apartments
slipped from the sash and fell" and, in a sentence that
has already been anticipated in section 2, "A woman's
hand flung forth a coin over the area railings." Only
later, in section 9, will an interpolated echo of this scene
identify the number of the house: "A card Unfurnished
Apartments reappeared on the windowsash of number 7
Eccles street." And only in Ithaca will this be
identified as the Blooms' address. A reader may suspect that
the Eccles Street singer with a "plump bare generous arm"
(generous in two senses) who throws a coin to the beggar is
Molly Bloom, but this hunch can only be confirmed by looking
to a later section in the chapter and a later chapter in the
novel.
Similar uncertainties attend the sailor himself, among them
the question of how he arrived at the corner of Dorset and
Eccles. At the beginning of section 1 Father Conmee ran into
him on Upper Gardiner Street, where he was begging in front of
"the convent of the sisters of charity" next to St.
Francis Xavier's church. A map will show that in the
intervening time the sailor must have walked west along Upper
Gardiner to its intersection with Lower Dorset, and there
turned south toward Eccles. Still later in the chapter,
section 16 is interrupted by the sentence, "The onelegged
sailor growled at the area of 14 Nelson street." The
beggar's trick of hurling his song at Molly's housefront was
not a one-off, then. He apparently has continued to visit
residences further up Eccles Street before turning left and
continuing on Nelson Street.
By having the same people pop up in different locations as
the chapter moves forward––it has already done this
with Father Conmee, who greets the constable at an
undertaker's shop in section 1 but then is seen several
blocks farther along the North Strand Road when the
constable talks to Corny Kelleher in section 2––Wandering
Rocks invites its readers to estimate temporal gaps as
well as spatial distances. In most cases this could only be
accomplished by walking Dublin's streets with a watch in hand
(the method Clive Hart resorted to), but the text makes it
possible to measure the sailor's trip from Upper Gardiner
Street to Eccles Street much more directly. According to
Father Conmee's watch as he comes down the steps of the
presbytery, it is "Five to three." According to Molly
in Penelope, it was "¼ after 3" when she saw
Katey and Boody Dedalus outside her window. Between the time
that the sailor unsuccessfully begs money from the priest and
the time that he brushes past the Dedalus girls, then, 20
minutes go by. So maniacally exact, and indirect, is the
spatiotemporal patterning in this chapter.
Section 3 contains one interpolation, an echo of section 8: "J.
J. O'Molloy's white careworn face was told that Mr Lambert
was in the warehouse with a visitor." To discover why
this interpolation should appear in this section, one must ask
why O'Molloy has come to Saint Mary's abbey. Hart observes
that it is because he wants to ask Ned Lambert, who works in
the seed business there, to lend him money. Hence "Both the
sailor and J. J. O'Molloy are begging" (Critical Essays,
204). Hart also notes that "There is an ironic contrast
between the sailor's song," which extols England, "and the
tales of insurrection being told in Mary's abbey."
Section 1 shows Father Conmee walking from St. Francis
Xavier's church to a spot on the Royal Canal almost a mile to
the east. Section 3 shows the crippled sailor, who also
started at the church, having walked some distance to the
west, and the interpolation in section 9 shows him still
farther west. Section 4 shows the Dedalus girls, whom the
sailor bumps past in section 3, considerably farther west and
north. These early sections are spread across the northern
perimeter of Dublin, but most of the interpolations in them
look to the south, where later sections of the episode will be
set.